IMPRESIONANTE TERRENO URBANO CON PROYECTO DE 22 VILLAS DE LUJO
- 6.000.000€
- 6.000.000€
Descripción
TERRENO URBANO PREMIUM CON PROYECTO
22 VILLAS DE LUJO EN MIJAS GOLF – COSTA DEL SOL
Exclusiva oportunidad de inversión en Mijas Golf.
Se ofrece terreno urbano de 19.525 m² con proyecto definido para el desarrollo de 22 villas independientes de lujo, en una de las zonas residenciales más consolidadas y demandadas de la Costa del Sol.
Una propuesta única dirigida a promotores e inversores que buscan alta rentabilidad, seguridad urbanística y ubicación prime.
UBICACIÓN ESTRATÉGICA
Situado en Mijas Golf, en un entorno exclusivo, tranquilo y rodeado de naturaleza, junto a campos de golf y con vistas abiertas al mar Mediterráneo.
A 10 min de Fuengirola y playas
A 20 min del Aeropuerto Internacional de Málaga
A 30 min del centro de Málaga
Zona urbana consolidada, residencial de alto nivel
DATOS URBANÍSTICOS CLAVE
Superficie total: 19.525 m²
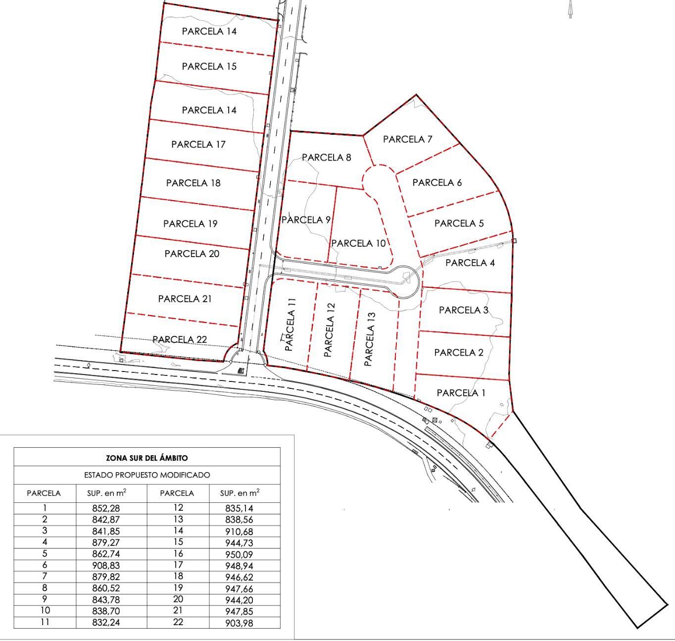
Parcelas: 22
Tamaño medio de parcela:
900 m²
Ordenanza: AIS4 – Vivienda Unifamiliar Aislada
Edificabilidad: 0,25 m²t/m²s
Edificabilidad total: 4.881,25 m²
Proyecto diseñado para 22 villas de lujo, con:
225 m² construidos aprox. por vivienda más sótano habitable y terraza solarium
Posibilidad de unir parcelas para desarrollar villas de mayor tamaño y valor añadido.
Terreno con topografía prácticamente llana, acceso asfaltado y servicios disponibles, lo que permite una rápida ejecución del proyecto.
ANÁLISIS DE MERCADO Y VALOR
Valor de mercado del suelo:
7.810.000 € (400 €/m² – sin IVA)
Precio de venta del terreno:
6.000.000 €
Diferencial claro entre valor actual y precio de adquisición, generando un escenario óptimo de rentabilidad.
PRECIO DE VENTA ESTIMADO DE LAS VILLAS
Según estudio de mercado:
Entre 6000 €/m² y 7000 €/m²
Alta demanda de obra nueva de lujo en Mijas Golf, con excelente absorción del producto terminado.
OPORTUNIDAD PARA PROMOTORES
Proyecto definido y escalable
Ubicación prime junto a golf
Mercado de alto poder adquisitivo
Fuerte proyección de revalorización
CONDICIONES DE COLABORACIÓN
Colaboración con agencias e intermediarios!
Disponemos de dossier completo, planos y documentación urbanística
Contactar para ampliar información o concertar visita privada al terreno.
Dirección
Abierto en Google Maps-
Dirección: ESPAÑA DE MIJAS GOLF 55
-
Ciudad: Mijas
-
Estado/Municipio: MALAGA
-
Código postal: 29650
Detalles
Actualizado en marzo 9, 2026 a 2:38 am-
ID de propiedad MLSRMES51345
-
Precio 6.000.000€
-
Tamaño de propiedad 0.0 m²
-
Cuarto 0
-
Baño 0
-
Garaje 0
-
Tipo Finca/Solar
-
Estado de la propiedad Venta
- Re/max Coast

















